Did you know that you burn over 380 calories per hour scuba diving? It’s about the same number of calories as walking and the scenery is typically spectacular!
If you look closely, you’ll see the sea anemone actually eating a lion fish in the center of the photo. Our divemaster in Cozumel actually captured the lionfish and fed him to the anemone while we watched – it was amazing! Who needs the nature channel when you dive?!
Now I don’t typically condone even touching anything while diving, but unfortunately lionfish will quickly destroy a reef if left alone and they are not indigenous to the Caribbean. They are thought to have been introduced to the Caribbean when a hurricane destroyed an aquarium in Florida – and they breed quickly.
But I’m getting ahead of myself. Let’s start from the beginning!
Kirk and I love to be active on vacations. In warmer climates we scuba dive. In colder, snowy climates we snowboard. It’s fun to combine our love for adventure and fitness with our love for travel. Scuba Diving is an amazing way to see a totally different view of our world – it’s so beautiful, peaceful, and alive underwater!
Other than the lionfish exception, one of the key tenants of diving is to disturb nothing. A good diver is one you see with their arms crossed in front of them, floating calmly, without touching the coral or other sea life around them. You’re there to observe, not take home souvenirs.
On this cruise, we had the opportunity to dive in both Roatan, Honduras and Cozumel, Mexico. This was our first time in Roatan and we dove with Native Sons for 2 – 1 tank dives. The first dive we had 6-8 other divers and snorkelers who joined us on the boat, with 2 divemasters. Another couple was going through certification, so they went with one divemaster to work on their skills. We dove with the divemaster, a single diver, and a divemaster-in-training. We saw at least 5 turtles on that dive – including one who swam up to me within 2 inches of my face. Pictures? left the camera on the boat. 🙁
We had some time between dives to grab a bite to eat at a local burrito shack. I’m sure the lady thought I was crazy when we ordered a chicken burrito with avocado instead of chicken and no cheese. It was delicious though!
Back on the boat, the camera made it into the water for our second dive! We got some nice photos of the local plants and animals:
The next day we were in Cozumel – our favorite dive location. This was actually our second trip to Cozumel this year, as our April cruise also stopped here. We dove with Aqua Safari on this trip and loved them! We had the boat to ourselves for these dives, as the other couple who had booked were no-shows. Good for us, but I always feel a little bad for the dive company in this case. I hope they got some sort of deposit.
The divemasters here were awesome and let us do two deep dives, which many are nervous about with divers they don’t know (which I completely understand). I flashed my Rescue Diver card to try to impress them and we do travel with all our own scuba gear, so they must have bought it! 😉
Our first dive here was at Santa Rosa Wall. The pictures we have really don’t do the wall justice – you’ll have to use your imagination a bit.
The photo above is me on the left, divemaster on the right. When you exit that swimthrough, you look down a huge wall covered in underwater life and straight ahead is deep blue ocean. It was breathtaking. I immediately thought “this is why I love diving in Cozumel”. Roatan was great, but Cozumel is gorgeous. Maybe there’s a better time of year to dive Roatan?
I love swimthroughs, which are cave-like areas you swim through, but you can always see the other side. On this dive, there were tons of swimthroughs and I was just in awe of my surroundings. The coral was so bright and there are tons of fish everywhere. Picture swimming in an aquarium, but one the size of the ocean – that’s Cozumel!
The top left picture about is an electric ray – a new sighting for us!
After an hour underwater, it was time to head up for a surface interval (and to warm up – it gets chilly down there!). The divemaster brought some delicious, fresh fruit for us to eat – papaya & pineapple – it was perfect!
The second dive was a new one to us – Punta Tunich. This dive was completely different, a moderate drift over the top of a very active reef. I have never seen so many big fish on one dive before, it was amazing. This is also where we saw the lionfish.
The little critter peaking out in the photos below is a splendid toadfish. They are a Cozumel native that is hard to spot and reminds me of a dog chew-toy. 🙂
Below: Spotlight Parrotfish (left); Black Grouper (right)
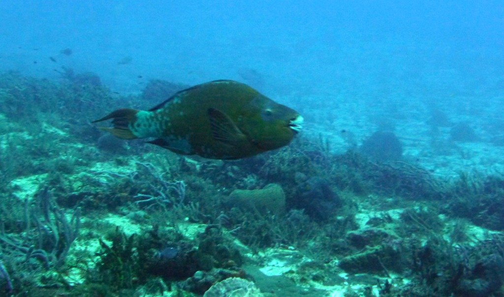
Below: Midnight Parrotfish
After a wonderful day of diving, we headed back to the ship to get cleaned up and ready for the evening. And on that note – I’ll wave goodbye for today!
Do you scuba dive? If so – where’s your favorite dive location? If not – what’s your favorite active sport during travel?
I’m also looking for your feedback on what you’d like to see more of (or less of) on Better With Veggies in 2012. Answer this poll on Facebook or leave me your thoughts in the comments below. I want to make this blog a place you want to be – so let me hear from you! =)
While you’re at it – why don’t you like Better With Veggies on Facebook, if you haven’t already?

